El huracán Ida azotó el estado sureño de Luisiana, en Estados Unidos y dejó la noche del domingo a toda la ciudad de Nueva Orleans sin electricidad, y causó al menos una muerte, informaron fuentes oficiales.
Exactamente 16 años después de que el huracán Katrina devastara esa región, el Ida de categoría 4 irrumpió el domingo por la tarde en las costas de Luisiana, pero horas después disminuyó a la categoría 1, informó la agencia de noticias AFP.
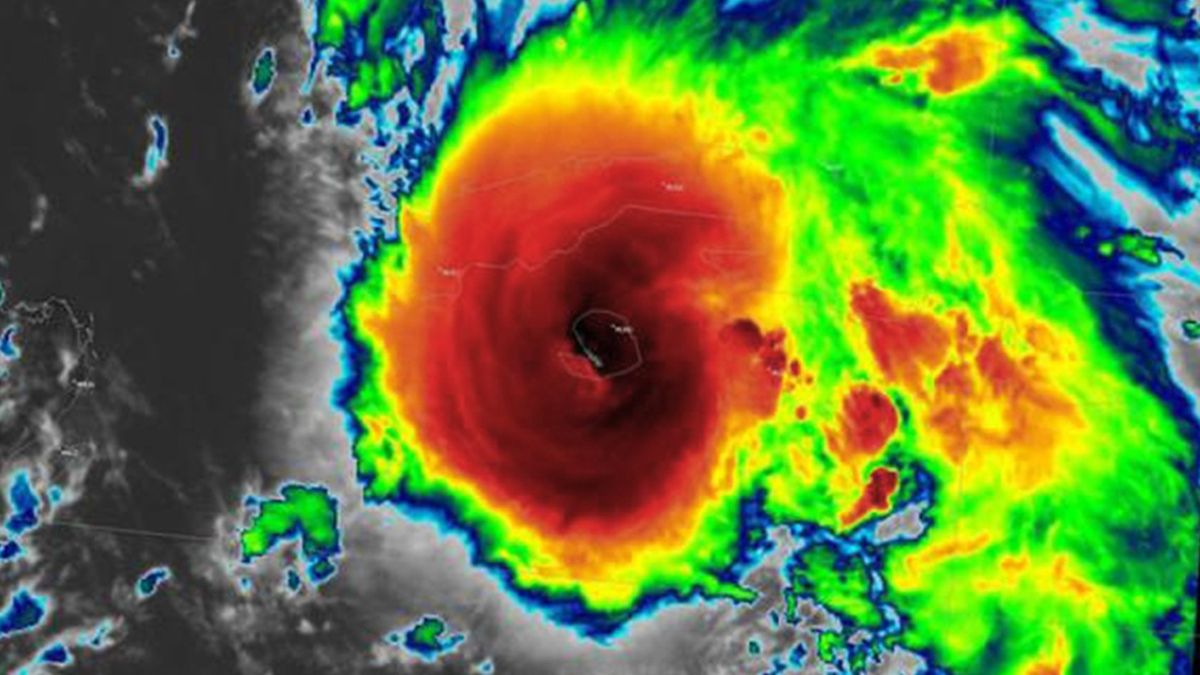
A las 4 horas del lunes, Ida avanzó con vientos de 153 kilómetros por hora, menos violentos que cuando tocó tierra horas antes del domingo, a unos 60 kilómetros al sur de Nueva Orleans.
El huracán fue precedido por fuertes vientos y lluvias desde las primeras horas del domingo. La alcaldesa de la ciudad, LaToya Cantrell tuiteó: "¡Hemos perdido la electricidad en toda la ciudad! Es hora de quedarse en casa, en lugares seguros. No es el momento de aventurarse al exterior".
En tanto, una persona falleció por la caída de un árbol en la localidad de Prairieville, al noroeste de Nueva Orleans, informaron las autoridades locales.
El Centro Nacional de Huracanes estadounidense (NHC) afirmó que Ida creó una "situación de peligro de muerte" y urgió a "tomar todas las medidas necesarias para proteger su vida y propiedades".
Leer más ► El huracán Ida tocó tierra en Luisiana con vientos de más de 240 kilómetros por hora
Es por ello que Nueva Orleans se convirtió en una ciudad de ventanas tapiadas y casas rodeadas de bolsas de arena, a la espera de este huracán que fue catalogado como "extremadamente peligroso".
En la localidad de Jean Lafitte, al sur de Nueva Orleans, el alcalde Tim Kernet habló de una "devastación total, catastrófica" con "los diques de la ciudad superados" por las aguas.
Y agregó que "entre 75 y 200 personas están bloqueadas" en la reserva de Barataria, y "los vientos son muy fuertes para ir en barco a buscarlas".
A su vez, el presidente Joe Biden consideró a Ida "una tormenta que amenaza las vidas" y que "sigue devastando todo aquello con lo que hace contacto".
Biden declaró el estado de emergencia en Luisiana, e insistió que cualquier persona que esté en los refugios use mascarilla y mantenga la distancia. Para el gobernador John Bel Edwards, podría tratarse de la mayor tormenta en golpear Luisiana desde la década de 1850.
"No cabe duda de que los próximos días y semanas serán extremadamente difíciles", dijo y añadió que algunas personas deberán permanecer refugiadas hasta por 72 horas.
"Encuentre el lugar más seguro de su casa y quédese allí hasta que pase la tormenta", tuiteó el gobernador, y explicó a CNN que se estima que cientos de miles de residentes evacuaron sus casas.
La tormenta "trae varias dificultades para nosotros, con los hospitales tan llenos de pacientes de covid-19", agregó. La localidad de Grand Isle, en una isla barrera ubicada al sur de Nueva Orleans, ya estaba inundada por el aumento del nivel de las aguas, reportó CNN.
La mayoría de los habitantes hicieron caso de las advertencias de las autoridades y huyeron de la zona días antes de la llegada de la tempestad, saturando las salidas de Nueva Orleans y otras ciudades.
Temas
Te puede interesar






