ver más

El huracán Melissa alcanza categoría 5 y el Caribe se prepara para una catástrofe

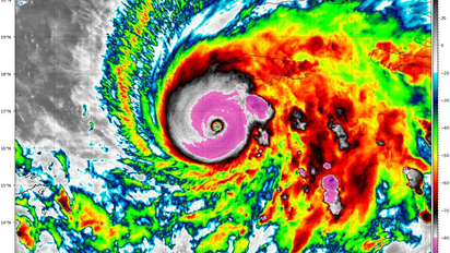
El huracán Melissa llegó a la categoría 5 y amenaza a Jamaica con vientos de 260 km/h e inundaciones catastróficas, según el Centro Nacional de Huracanes.

El huracán Melissa se fortaleció en las últimas horas hasta alcanzar la categoría 5, la máxima en la escala Saffir-Simpson, mientras avanza lentamente por el Caribe con vientos de casi 260 kilómetros por hora. Las autoridades advirtieron que la situación en Jamaica podría volverse “catastrófica” por las marejadas ciclónicas e inundaciones extremas previstas para las próximas horas.

Jamaica bajo alerta por el huracán Melissa

El Centro Nacional de Huracanes de Estados Unidos (NHC) informó que Melissa se mueve con una velocidad preocupantemente baja, lo que aumenta el riesgo de lluvias intensas y deslizamientos de tierra.

“Melissa es ahora un huracán de categoría 5. Los vientos destructivos, las marejadas ciclónicas y las inundaciones catastróficas empeorarán en Jamaica a lo largo del día y durante la noche”, informó el organismo.

Hasta el momento, al menos cuatro personas murieron en Haití y República Dominicana debido a los efectos del fenómeno, que provocó fuertes lluvias y deslaves.

El subdirector del NHC, Jamie Rhome, advirtió que la situación en Jamaica podría ser crítica: “Esta posibilidad de lluvias extremas, debido a la lentitud del movimiento, va a provocar una catástrofe aquí en Jamaica. Las condiciones empeorarán muy rápidamente en las próximas horas. No salgas después del atardecer”.

LEER MÁS ► Homicidio doble: estranguló a su pareja y prendió fuego la casa con su bebé adentro

Según los meteorólogos, Melissa podría descargar hasta un metro de lluvia en algunas zonas del Caribe, con riesgo de inundaciones repentinas. Después de impactar Jamaica, se prevé que la tormenta se desplace hacia el norte, afectando el este de Cuba entre la noche del martes y el miércoles, mientras continúa golpeando a Haití y República Dominicana.

El fenómeno es la decimotercera tormenta con nombre de la temporada de huracanes del Atlántico 2025, que se extiende de junio a noviembre y ya se perfila como una de las más intensas de los últimos años.

Temas

Últimas Noticias

Más Leídas